REQUEST A TOUR If you would like to see this home without being there in person, select the "Virtual Tour" option and your agent will contact you to discuss available opportunities.
In-PersonVirtual Tour

$ 3,000,000
Est. payment | /mo
12.15 Acres Lot
$ 3,000,000
Est. payment | /mo
12.15 Acres Lot
Key Details
Property Type Vacant Land
Sub Type UnimprovedLand
Listing Status Pending
Purchase Type For Sale
MLS Listing ID 219088000
Lot Size 12.150 Acres
Acres 12.15
Property Sub-Type UnimprovedLand
Property Description
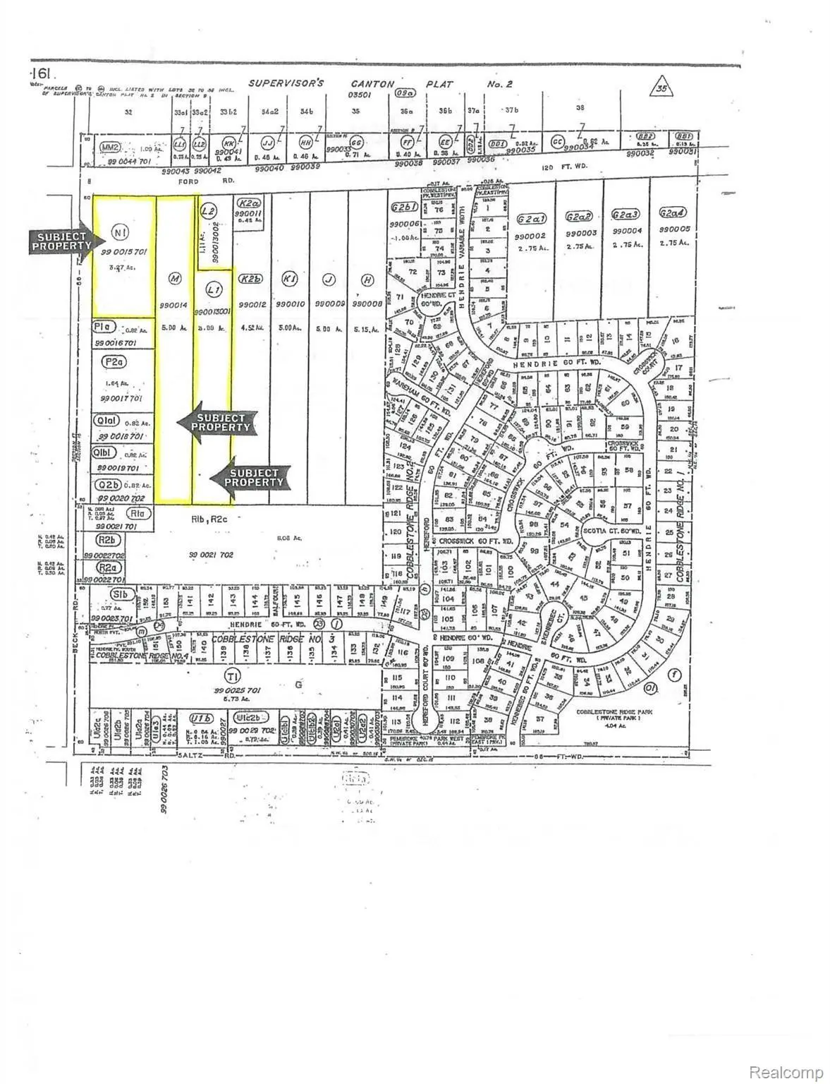
CORNER LOCATION!! Prime Real Estate on Ford Road. Great location with Ford Road frontage. Sale includes Parcel#71062990013001 (3.88 acres), Parcel#71062990014000 (5 acres), and Parcel#71062990015701 (3.27 acres). A total of 3 parcels with a total of 12.15 acres. Great development potential. Purchase "as is". All data approximate and should be verified.
Location
State MI
County Wayne
Area Area05071Cantontwp
Interior
Fireplace No
Exterior
View Y/N No
Building
Sewer Sewer At Street
Water WateratStreet
New Construction No
Schools
School District Plymouth Canton
Others
Senior Community false
Acceptable Financing Cash, Conventional
Listing Terms Cash, Conventional
Special Listing Condition ShortSaleNo, Standard

©2026 Realcomp II Ltd. Shareholders
Listed by Joseph P Van Esley of Van Esley Real Estate Inc

